Huracán Irma, Puerto Rico-Live Stream & Videos: Mira la tormenta en línea

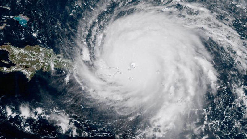
El huracán Irma se dirige hacia Puerto Rico, después de devastar pequeñas islas del Caribe en el Atlántico. La tormenta golpeó Barbuda, San Martín, Anguila y parte de las Islas Vírgenes, con vientos a 185 mph – muy por encima del umbral de categoría 5 de 157 mph. El ojo de la tormenta, se espera que pase justo al norte de Puerto Rico, este miércoles por la tarde o por la noche. Muchas personas y negocios en la zona tienen transmisiones en vivo que puede seguir para ver la tormenta  cuando llegue a la zona.

Estos feeds podrían subir y bajar periódicamente debido a cortes de energía y daños por tormentas, o pueden cambiar de ser una transmisión en vivo a un video para ver luego, pero seguiremos actualizando este post periódicamente a medida que avanza la tormenta. También agregaremos más fuentes,  a medida que continúe el camino de la tormenta.

La transmisión en vivo muestra  informes sobre Irma,  en Puerto Rico. Esta es una de las mejores fuentes en este momento ya que muchas cámaras web individuales han bajado.

A continuación: Una transmisión en vivo que cambia periódicamente entre diferentes webcams de Puerto Rico. (Parece que el principal que están mostrando ahora es en Carolina del Norte debido a otras corrientes bajando.)

Y una transmisión en vivo desde un hotel en Patillas, Puerto Rico. Esta área no muestra  lo peor de la tormenta:

A continuación, un satélite de alimentación que a veces salta, pero sirve para chequear.

 

Y un feed de Periscope en vivo:

“La única transmisión en vivo desde Puerto Rico en  Bayamon”.
Este canal de YouTube periódicamente presenta fuentes en vivo de Puerto Rico. Aquí está el más reciente:

Y aquí hay otros videos (no en  vivo) de Irma cerca de Puerto Rico:

“El huracán Irma comienza a llegar a Puerto Rico”.

“Escena actual en San Juan”.

Irma continuará avanzando, lo que probablemente afectará a la República Dominicana, Haití y Cuba. Vamos a agregar los videos  en vivo,  que estén disponibles.

Para seguir el huracán en vivo y ver radares en vivo y noticias, haga click en el artículo a   continuación:

Comentarios