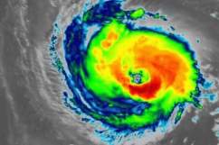
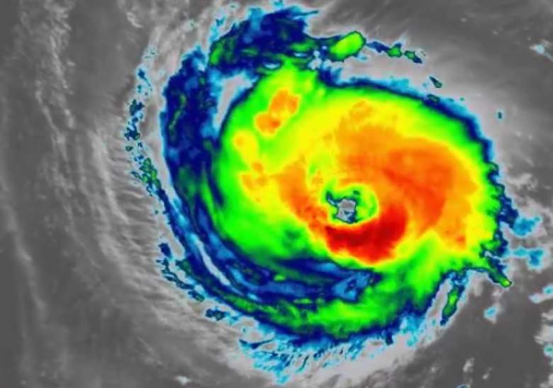
A medida que el huracán Florence se acerca a la costa de Carolina, las transmisiones en vivo y las cámaras web están capturando el aumento de las olas y los vientos.
Una transmisión en vivo que ha llamado mucho la atención es la de Frying Pan Ocean, que proviene de la torre de la Guardia Costera a 34 millas de la costa de Carolina del Norte. Esta cámara se encuentra justo donde Florence puede estar tocando tierra, y la torre del helipuerto está a unos 100 pies sobre el agua. En la transmisión en vivo actual, puedes ver la bandera estadounidense maltratada, despedazada por los feroces vientos. La transmisión en vivo está arriba.
La cámara web de arriba es compartida por Explore Oceans, que también tiene varias cámaras web adicionales que pueden dar vislumbres de la llegada del huracán. La torre Frying Pan fue construida en la década de 1960 como una forma de advertir a los buques entrantes de aguas poco profundas cercanas. Desde entonces, la torre se ha convertido en el hogar de un ecosistema de vida marina, explica Explore.org.
Explore Oceans también ofrece esta vista de cámara web desde Wilmington Tower (otra vista de la torre Frying Pan).
Y esta cámara submarina de tiburones está a 34 millas de la costa de Carolina del Norte, y podría proporcionar algunos destellos interesantes de cómo el océano se ve bajo el agua a medida que el huracán se mueve.
Pero hay muchas más transmisiones en vivo y cámaras en vivo que puedes ver a medida que se acerca el huracán. El siguiente es proporcionado por The Washington Post.
Y esta transmisión en vivo es de Pelicam de la Liga de Conservación Costera de Carolina del Sur en el puerto de Charleston:
En el área de Outer Banks, aquí hay un video del Avalon Pier, que muestra Stonefish BeachBar en Kill Devil Hills, Carolina del Norte:
Y el siguiente es un video de Outer Banks que muestra una cámara web en vivo de Twiddy & Company Realtors, desde la playa de Kitty Hawk, Carolina del Norte.
A continuación, encontrará una cámara de playa de North Topsail, proporcionada por Tornado Alley Video. Esto es del cazador de tormentas Jeff Piotrowski en las Islas de la Barrera Exterior de Carolina del Norte hacia el continente.
Y aquí hay una transmisión en vivo desde Sunset Beach Marsh, desde Sunset Inn, en Carolina del Norte:
Esta es una historia en desarrollo….
Este artículo se redactó con información de Heavy.com



Comentarios